

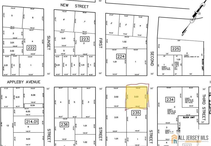
All Jersey MLS / Coldwell Banker Realty / Nevin Ashamalla 0-0 Appleby Avenue South River, NJ 08882
2661219M
10,000 SQFT
Land
Middlesex County
Listed By
All Jersey MLS
Last checked Mar 28 2026 at 1:04 PM GMT+0000
- See Remarks
- Level
- Street Lights
- Curbs
- Foundation: Garage
- Utilities: See Remarks
- Sewer: In Street
- Garage
- Garage
- Curbs
Estimated Monthly Mortgage Payment
*Based on Fixed Interest Rate withe a 30 year term, principal and interest only

Description